182 Rykert Street St. Catharines, Ontario L2S 2B7

Acreage

$1,295,000

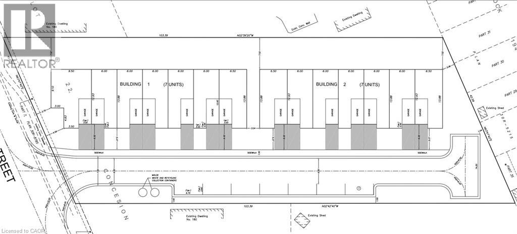
14-unit townhome development*, on 1 acre, on the West side of St. Catharines. 5 minutes to HWY 406, and 10 minutes to QEW. Zoned R1, permitting townhouses, private road projects, triplexes, duplexes, semi-detached, and detached developments. Its proximity to major HWY and amenities makes it a prime location for families and commuters. A growing population, zoning compliance and its level terrain make this a perfect opportunity for builders looking to start a project in the next 12 months*. *Pending site plan approval application. *The survey, concept plan, and pre-con notes are available upon request. (id:40058)

Property Details

MLS® Number 40796807
Property Type Vacant Land
Amenities Near By Schools
Structure Shed

Building

Basement Type None
Utility Water Municipal Water

Land

Access Type Road Access
Acreage Yes
Land Amenities Schools
Sewer Municipal Sewage System
Size Depth 339 Ft
Size Frontage 140 Ft
Size Irregular 1.004
Size Total 1.004 Ac|1/2 - 1.99 Acres
Size Total Text 1.004 Ac|1/2 - 1.99 Acres
Zoning Description R1 Low Density Residential Suburban Neighbourhood

https://www.realtor.ca/real-estate/29225616/182-rykert-street-st-catharines

Contact Us

Contact us for more information

Generating Captcha

Your Favourites

 

No Favourites Found